- Startseite
- Tirol
- Kufstein
- Thiersee
12 Provisionsfreie Immobilien in der Gemeinde Thiersee
- 6335 Hinterthiersee • Wohnung mieten
Lichtdurchflutete 2-Zimmer Mietwohnung mit begehrter Freizeitwohnsitzwidmung in Thiersee
Willkommen in Ihrem neuen Zuhause in der malerischen Gemeinde Thiersee, Tirol! Diese gepflegte 2-Zimmer-Wohnung in der 1. Etage bietet Ihnen nicht nur ein modernes Wohnambiente, sondern auch einen atemberaubenden Ausblick auf die umliegende Natur.Mit einer großzügigen Fläche von 96 m² haben Sie ausreichend Platz, um mehr anzeigen - 6335 Hinterthiersee • Wohnung mieten
Thiersee Nähe Kufstein: Sonnige 3-Zimmer Wohnung mit Seeblick
Schöne 3-Zimmer-Mietwohnung mit Stellplatz, Thiersee Nähe KufsteinSchöne helle 3-Zimmer-Wohnung im 2. OG (kein Personenlift) in Thiersee Kirchdorf zu mieten, Wohnfläche ca. 88 m². Wohnhaus Baujahr ca. 1987, ein TG-Stellplatz ist in der Miete inbegriffen. Das große Wohnzimmer ist mit einem Kachelofen ausgestattet, mehr anzeigen - Jochberg, 6335 Landl • Maisonette mieten
Herrliche 5 Zi.-Maisonettewohnung in absoluter Ruhelage Thiersee - Jochberg
Top moderne Maisonettewohnung in Jochberg / 6335 Thiersee - Landl Leben Sie mitten in einer Oase der absoluten Ruhe! Die durchdachte Raumeinteilung der großen Wohnung auf 2 Ebenen mit einem großzügigen Balkon versprechen den vollkommenen Wohlfühlfaktor für die ganze Familie. Das Entrée der Wohnung ist der zentrale mehr anzeigen - Hinterthiersee 39, 6335 Hinterthiersee • Wohnung kaufen
Ferienwohnung/Wohnung im wunderschönen Thierseetaltal
Die Wohnung wird vorzugsweise möbliert verkauft und befindet sich in dem idyllischen kleinen Bergort Hinterthiersee. Der Ort befindet sich auf einem sonnigen Hochplateau über Kufstein/Tirol und noch etwas höher als der schöne Thiersee. Direkt am Haus befindet sich ein Ski-Lift und eine Rodelbahn gibt es auch. Die mehr anzeigen - 6335 Vorderthiersee • Einfamilienhaus kaufen
Absolutes Juwel wartet darauf eine neue Familie willkommen zu heißen
Inmitten der idyllischen Tiroler Bergwelt, wartet dieses liebevoll gepflegte Juwel darauf, eine neue Familie willkommen zu heißen. Das Haus wurde 1989 erbaut und 2018 mit viel Sorgfalt und Liebe zum Detail renoviert. Das Grundstück umfasst insgesamt 759 m², davon 632 m² Gartenfläche. Auf einer Wohnfläche von rund 148 mehr anzeigen - 6335 Vorderthiersee • Einfamilienhaus kaufen
Absolutes Juwel wartet darauf eine neue Familie willkommen zu heißen
Inmitten der idyllischen Tiroler Bergwelt, wartet dieses liebevoll gepflegte Juwel darauf, eine neue Familie willkommen zu heißen. Das Haus wurde 1989 erbaut und 2018 mit viel Sorgfalt und Liebe zum Detail renoviert. Das Grundstück umfasst insgesamt 759 m², davon 632 m² Gartenfläche. Auf einer Wohnfläche von rund 148 mehr anzeigen - Stallenalm 28, 6335 Almen • Immobilie mieten
Urige Almhütte in idyllischer Bestlage zu vermieten - 1 Stunde von München entfernt
Sehr schöne Almhütte in Bestlage zu vermieten. Ganzjährlich Sonne. 1 Stunde von München entfernt. Die Alm liegt auf 950m ü. A. oberhalb des Stallenbachs auf dem Gemeindegebiet von Thiersee und ist über die Mautstraße zur Ackernalm erreichbar. Von ca. November bis ca. Mai, je nach Schneefall ist die Straße nicht mehr anzeigen- Nutzfläche
- 65 m²
- Vorderthiersee 19, 6335 Vorderthiersee • Wohnung mieten
2-Zimmer Dachgeschoßwohnung in unmittelbarer Seenähe
Diese 2-Zimmer-Wohnung mit ca. 44m² Wohnfläche befindet sich in zentraler Lage in Vorderthiersee in unmittelbarer Nähe des Sees. Die Wohnung liegt im Dachgeschoß eines 2-stöckigen Gebäudes und verfügt über einen 5m² großen Balkon. Sie ist sofort verfügbar und wird für eine Mietdauer von 3 Jahren angeboten. Die mehr anzeigen - 6335 Hinterthiersee • Penthouse mieten
Exklusive 2-Zimmer Penthouse Wohnung mit Seeblick in Thiersee zu mieten!
Großzügiges 2-Zimmer Penthouse mit unverbaubarem Seeblick in Vorderthiersee! Wohnen Sie dort, wo andere Urlaub machen, denn der See ist nur wenige Schritte von Ihrer neuen Traumwohnung entfernt! Das hochwertige Penthouse befindet sich im Dachgeschoss des modernen Neubaus und wird praktisch mit dem Lift erreicht. mehr anzeigen - Breiten, 6335 Hinterthiersee •
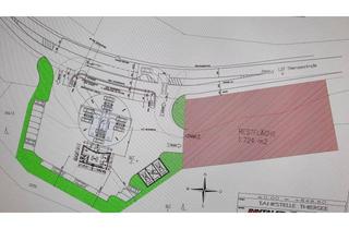
Top-Gewerbe Grundstück und/oder Büro bzw. Studio zu verpachten, vermieten bzw. im Baurecht zu vergeben!!!
Verpachten oder vergeben im Baurecht oder Pacht Top Gewerbe Grundstück (ca. 1700 m2) direkt an der Bundesstraße vor der Ortseinfahrt von Thiersee. Direkt neben der Tankstelle INN-TANK! Glasfaserinternet am Grundstück verfügbar! • dazugehöriges (auch separat) Büro- oder Studioräumlichkeit (ca. 40 m2) auch möglich mehr anzeigen- Grundfläche
- 1.700 m²









